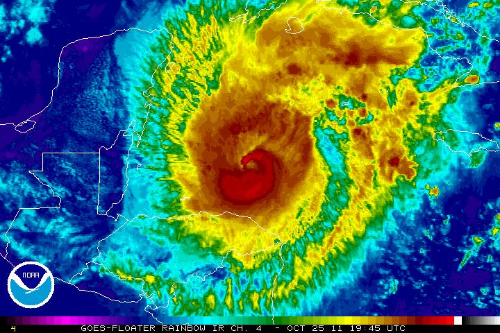
At 6:00pm the center of Hurricane Rina was located near 17.5 N, Latitude and 84.5 W, Longitude or about 244 miles east of Belize. Hurricane Rina is heading west at 3 mph with maximum sustained winds of 110 mph. Tropical Storm force winds extends out to 140 miles and Hurricane Force Winds extend out 30 miles from the centre. 2-4 inches of rainfall is anticipated. Rina is expected to become a major Hurricane within the next 24 hours.
With effect from 5:00 p.m today, NEMO suspended evacuation operations from the Cayes.
Boat owners are urgently advised to move their vessels to safe harbor. All vessels must remain in port. NEMO advises the general public not to go to sea.
Coastal evacuation is being planned for 5:00 am tomorrow morning for Orange Walk and Corozal Districts. It is very likely that public transportation for Central and Northern Belize will be disrupted tomorrow to facilitate the possible evacuation of Belize City. NEMO will confirm this decision at 5:00 a.m. tomorrow morning. In regards to this planned evacuation NEMO urges everyone to listen to their radio and television throughout the night.
Those persons who are capable of leaving on their own are advised to voluntarily evacuate Belize City, rural areas in Orange Walk and Corozal Districts. Communities of concern are Belize City, Ladyville northwards to Sand Hill; Maskall; Bomba; Progresso; Copper Bank; Chunox up to Sarteneja. Evacuation of San Pedro and Caye Caulker resumes in the morning at 6:00am if sea conditions permit.
Tomorrow school will be suspended for the entire Cayo, Orange Walk and Corozal Districts including Belize City. School staff and management must report to school to prepare their schools. Public Officers must be ready to report to their respective shelters.
It is anticipated that Phase III-Red 2 will be declared at 6:00 .a.m. tomorrow morning.
NEMO continues to monitor Hurricane Rina which has the potential to further strengthen. STAY ALERT! STAY TUNED! TAKE THE NECESSARY ACTIONS AS ADVISED!

